Squatteck, QC
Gap Filler Site

Relocated from Les Etroits



Click on the description text to view the photograph.
  1. Land Acquisition: Site & Access Road - 2 August 1962
    Courtesy National Archives of Canada.

  2. Reservation of Armco Steelox Components - 2 May 1961
    Courtesy National Archives of Canada.

  3. Detail pertining to the Gap Filler site at Squatteck - 31 March 1961
    Courtesy National Archives of Canada.

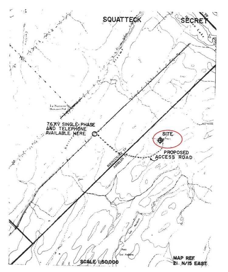
  4. Map showing the proposed location of the Gap Filler site at Squatteck - 31 March 1961
    Courtesy National Archives of Canada.

  5. Field Surveys: Les Etroits - 28 July 1959.
    Courtesy National Archives of Canada.



Photographic Credits

All photos are used with permission.


Return to the Details Page

Index
Return to Top of Page

Updated: March 10, 2005