Tobermory, ON
Gap Filler Site


About 3 miles south of Tobermory, Ontario is a building that has always been referred to locally as the radar building and which is obviously one of the Pinetree Line Gap Filler sites.

It is located at 45 13' 25" and 81 38' 14" on the Warner Bay Road just across the road from the local airport. I checked with the Bruce County Registry Office and found that the federal government bought the property in February and March, 1962 (parts of 2 lots) for a total of $4600.00 and sold it to the Ontario government in February, 1965 for $225.00.

Bruce Peninsula National Park presently uses these buildings for storage. As far as I know, the only physical changes in the buildings have been the addition of a small window and vent piping for an internal paint storage box on the south side and a couple of coats of paint. The buildings correspond exactly to gap filler specifications on the website: the larger one is 48' x 28' and the smaller one is 36' x 28'. The chain link fence is 7' high with 3 rows of barbed wire on top and was erected by the Toronto Fence and Wire Company according to the small plaque near the gate. There are three concrete pylons behind the building which presumably were the bases for the tower. A large three sided tower (or part of it) is now located at another Park site about 6 miles away. Apparently it came from the radar building. Unfortunately, I have not been able to find any local photos taken between 1962 and 1965.

Glen Dunham, Box 214, Tobermory, ON, N0H 2R0. Telephone - (519) 596-2787



Click on the description text to view the photograph.
  1. Map showing the location of Tobermory northwest of Owen Sound - 29 May 2002.
    Courtesy Ontario Ministry of Transportation.

  2. Larger scale map of Tobermory - 29 May 2002.
    Courtesy Ontario Ministry of Transportation.

  3. Gap Filler site buildings looking north from the road about 350 feet away - 4 August 2000.
    Courtesy Glen Dunham.

  4. Gap Filler site buildings looking north - 4 August 2000.
    Courtesy Glen Dunham.

  5. A closer view of the Gap Filler site buildings looking north - 4 August 2000.
    Courtesy Glen Dunham.

  6. Gap Filler site buildings looking north - 4 August 2000.
    Courtesy Glen Dunham.

  7. Gap Filler site buildings looking northwest - 4 August 2000.
    Courtesy Glen Dunham.

  8. Gap Filler site buildings looking southwest - 4 August 2000.
    Courtesy Glen Dunham.

  9. Gap Filler site buildings looking southeast - 4 August 2000.
    Courtesy Glen Dunham.

  10. Gap Filler site buildings looking east - 4 August 2000.
    Courtesy Glen Dunham.

  11. Gap Filler site buildings looking east - 4 August 2000.
    Courtesy Glen Dunham.

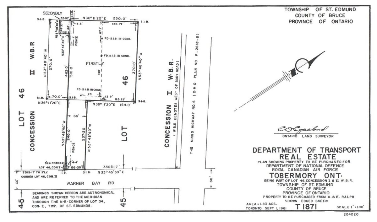
  12. Land at Tobermory Gap Filler Radar Station - 26 February 1965
    Courtesy National Archives of Canada.

  13. Gap Filler Radar Station - 26 February 1965
    Courtesy National Archives of Canada.

  14. Schedule A & B - 26 February 1965
    Courtesy National Archives of Canada.

  15. Schedule A - 26 February 1965
    Courtesy National Archives of Canada.

  16. Schedule B - 26 February 1965
    Courtesy National Archives of Canada.

  17. Buildings and Tower - 9 November 1964
    Courtesy National Archives of Canada.

  18. Buildings and Materials - 4 November 1964
    Courtesy National Archives of Canada.

  19. Radar Towers at Gap Filler Sites, page 1 of 2 - 29 October 1964
    Courtesy National Archives of Canada.

  20. Radar Towers at Gap Filler Sites, page 2 of 2 - 29 October 1964
    Courtesy National Archives of Canada.

  21. Keys toi Tobermory Gap Fille Site - 9 October 1964
    Courtesy National Archives of Canada.

  22. Disposal: Gap Filler Radar Site - 24 April 1964
    Courtesy National Archives of Canada.

  23. Report of Surplus - 9 April 1964
    Courtesy National Archives of Canada.

  24. Report of Surplus - 12 March 1964
    Courtesy National Archives of Canada.

  25. CADIN Gap Filler Program - 1 November 1963
    Courtesy National Archives of Canada.

  26. Care & Custody: Tobermory - 19 July 1963
    Courtesy National Archives of Canada.

  27. Requirement for Farm Type Gate on Access Road - 24 June 1963
    Courtesy National Archives of Canada.

  28. Care & Custody: Gap Filler Radar Stations - 8 May 1963
    Courtesy National Archives of Canada.

  29. Change Order No. 5 - 4 April 1963
    Courtesy National Archives of Canada.

  30. Change Order No. 4 - 22 March 1963
    Courtesy National Archives of Canada.

  31. Change Order No. 3, page 1 of 3 - 12 March 1963
    Courtesy National Archives of Canada.

  32. Change Order No. 3, page 2 of 3 - 12 March 1963
    Courtesy National Archives of Canada.

  33. Change Order No. 3, page 3 of 3- 12 March 1963
    Courtesy National Archives of Canada.

  34. Handing Over Notice & Receipt - 4 December 1962
    Courtesy National Archives of Canada.

  35. Gap Filler Radar Station - 2 November 1962.
    Courtesy National Archives of Canada.

  36. Care & Custody: Construction Status - 17 September 1962
    Courtesy National Archives of Canada.

  37. Gap Filler: Tobermory - 9 August 1962
    Courtesy National Archives of Canada.

  38. Land Acquisition: Site & Access Road - 2 August 1962
    Courtesy National Archives of Canada.

  39. Status Report on Tobermory - 31 July 1962
    Courtesy National Archives of Canada.

  40. Commercial Electric Power - 13 June 1962.
    Courtesy National Archives of Canada.

  41. Revisions to Specifications - 9 April 1962.
    Courtesy National Archives of Canada.

  42. Construction at Tobermory - 29 November 1961.
    Courtesy National Archives of Canada.

  43. Award of Contract - 14 November 1961.
    Courtesy National Archives of Canada.

  44. Acceptance of Tender/Contract, page 1 of 3 - 2 November 1961
    Courtesy National Archives of Canada.

  45. Acceptance of Tender/Contract, page 2 of 3 - 2 November 1961
    Courtesy National Archives of Canada.

  46. Acceptance of Tender/Contract, page 3 of 3 - 2 November 1961
    Courtesy National Archives of Canada.

  47. Gap Filler Radar Station - 7 September 1961
    Courtesy National Archives of Canada.

  48. Purchase of Property - 1 September 1961
    Courtesy National Archives of Canada.

  49. Sketch of Property to be Purchased - 1 September 1961
    Courtesy National Archives of Canada.

  50. Gap Filler - 14 August 1961
    Courtesy National Archives of Canada.

  51. Gap Filler Radar Station - 14 August 1961
    Courtesy National Archives of Canada.

  52. Sale of Property - 3 August1961
    Courtesy National Archives of Canada.

  53. Land Acquisition: Gap Filler Radar Station - 17 July 1961
    Courtesy National Archives of Canada.

  54. Power Supply to Gap Filler Radar Station - 27 June 1961
    Courtesy National Archives of Canada.

  55. Property for Gap Filler Site - 13 June 1961.
    Courtesy National Archives of Canada.

  56. Land Acquisition: Gap Filler Radar Station - 23 May 1961.
    Courtesy National Archives of Canada.

  57. Offer of Property Sale - 21 May 1961
    Courtesy National Archives of Canada.

  58. Land Acqquisition - 13 March 1961.
    Courtesy National Archives of Canada.

  59. Gap Filler Station - 27 July 1960.
    Courtesy National Archives of Canada.

  60. Preliminary CE Report & Cost Estimates - 15 April 1960
    Courtesy National Archives of Canada.

  61. Gap Filler Stations - 22 February 1960.
    Courtesy National Archives of Canada.

  62. Progress Statement #3 - 31 December 1959
    Courtesy National Archives of Canada.

  63. Site Survey Report - 10 December 1959.
    Courtesy National Archives of Canada.

  64. Progress Statement #2 - 30 November 1959
    Courtesy National Archives of Canada.

  65. Site Survey Report - 27 November 1959.
    Courtesy National Archives of Canada.

  66. Gap Filler Stations - 11 October 1959.
    Courtesy National Archives of Canada.

  67. Land Acquisition - 28 September 1959.
    Courtesy National Archives of Canada.

  68. Site Reconnaissance - 11 September 1959.
    Courtesy National Archives of Canada.

  69. Reconnaissance Report - 10 September 1959.
    Courtesy National Archives of Canada.

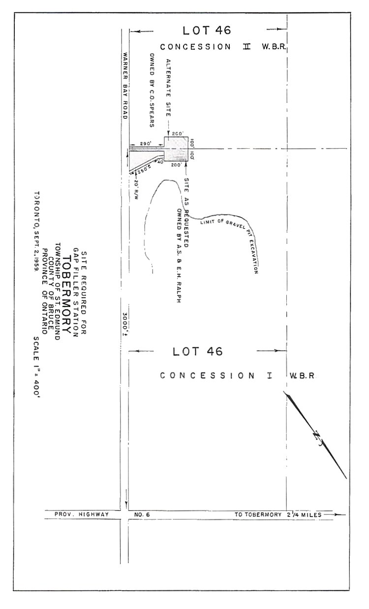
  70. Gap Filler Station - 10 September 1959.
    Courtesy National Archives of Canada.

  71. Site Reconnaissance - 3 September 1959.
    Courtesy National Archives of Canada.

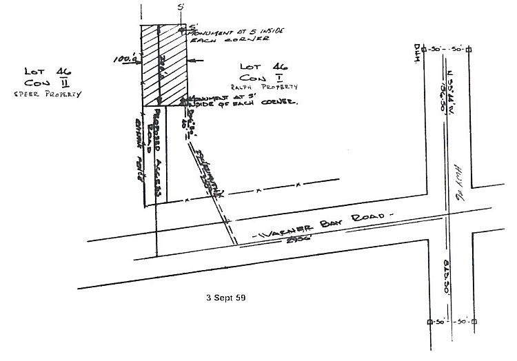
  72. Site Sketch - 3 September 1959.
    Courtesy National Archives of Canada.

  73. Site Sketch - 3 September 1959.
    Courtesy National Archives of Canada.

  74. Purchase of Land - 1 September 1959.
    Courtesy National Archives of Canada.

  75. Report on the Gap Filler Site at Tobermory, cover page - 30 August 1959.
    Courtesy National Archives of Canada.

  76. Report on the Gap Filler Site at Tobermory, index page - 30 August 1959.
    Courtesy National Archives of Canada.

  77. Report on the Gap Filler Site at Tobermory, page 1 of 13 - 30 August 1959.
    Courtesy National Archives of Canada.

  78. Report on the Gap Filler Site at Tobermory, page 2 of 13 - 30 August 1959.
    Courtesy National Archives of Canada.

  79. Report on the Gap Filler Site at Tobermory, page 3 of 13 - 30 August 1959.
    Courtesy National Archives of Canada.

  80. Report on the Gap Filler Site at Tobermory, page 4 of 13 - 30 August 1959.
    Courtesy National Archives of Canada.

  81. Report on the Gap Filler Site at Tobermory, page 5 of 13 - 30 August 1959.
    Courtesy National Archives of Canada.

  82. Report on the Gap Filler Site at Tobermory, page 6 of 13 - 30 August 1959.
    Courtesy National Archives of Canada.

  83. Report on the Gap Filler Site at Tobermory, page 7 of 13 - 30 August 1959.
    Courtesy National Archives of Canada.

  84. Report on the Gap Filler Site at Tobermory, page 8 of 13 - 30 August 1959.
    Courtesy National Archives of Canada.

  85. Report on the Gap Filler Site at Tobermory, page 9 of 13 - 30 August 1959.
    Courtesy National Archives of Canada.

  86. Report on the Gap Filler Site at Tobermory, page 10 of 13 - 30 August 1959.
    Courtesy National Archives of Canada.

  87. Report on the Gap Filler Site at Tobermory, page 11 of 13 - 30 August 1959.
    Courtesy National Archives of Canada.

  88. Report on the Gap Filler Site at Tobermory, page 12 of 13 - 30 August 1959.
    Courtesy National Archives of Canada.

  89. Report on the Gap Filler Site at Tobermory, page 13 of 13 - 30 August 1959.
    Courtesy National Archives of Canada.

  90. Tobermory - 12 August 1959.
    Courtesy National Archives of Canada.

  91. Field Surveys: Tobermory - 28 July 1959.
    Courtesy National Archives of Canada.



Photographic Credits

All photos are used with permission.


Return to the Details Page

Index
Return to Top of Page

Updated: March 23, 2005